
上海的桂花,再度刷新了最晚开花纪录!新民晚报记者今天从上海植物园获悉,度过炎热的国庆长假之后,园内的早银桂终于在10月7日零星开放,不但比去年9月29日的“史上最晚”又推迟了约一周,而且刚刚开放就迅速凋谢了。专家认为,今年桂花整体花期将延后,且开放面积和效果将不如往年,市民或将难以邂逅“桂花味的秋天”。
史上最晚 效果难达预期
每年秋天的桂花季,早银桂总是“先头部队”,后续接档的则有丹桂品种群的早花品种,四季桂品种中的佛顶珠桂、月月桂、大叶四季桂,金桂中的波叶金桂、杭州黄桂等。正常来说,早银桂应于9月上旬初放,不过今年,一直到炎热的国庆节,桂花仍没有动静,令不少网友疑惑“今年桂花还会开吗?”
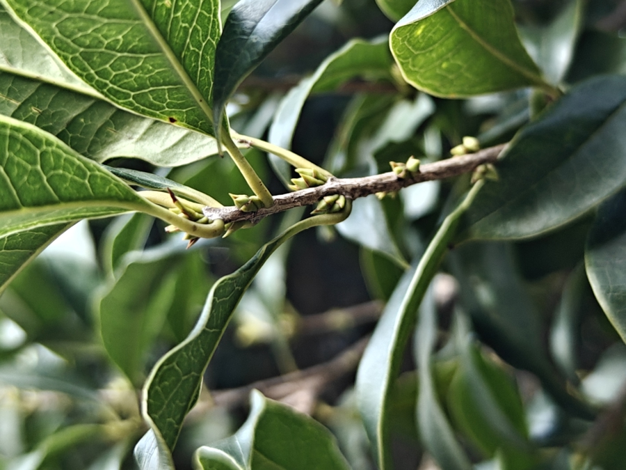
幸好,长假临近尾声时,桂花终于开了一波。10月7日,上海植物园的专家在枝头拍到了非常零星的小花朵,淡黄的小花如珠玉般可爱。
10月7日拍到的早银桂零星开放
用心才能找到
10月7日,专家在上海植物园内拍到早银桂零星开放
可惜,这支“先头部队”不仅数量少得可怜,“寿命”也不长久,今天再去看,零星的几朵又已经凋谢了,仿佛被晒化了。而枝头上的其他花骨朵似乎又“僵牢了”,并没有继续绽放。
僵牢了
谢掉了
10月10日,刚开3天的“先头部队”已“阵亡”
这波桂花开放时间,比去年9月29日的早银桂初花期又晚了约一周,成为上海植物园内有物候记录以来桂花开花最晚的一次。“根据今年居高不下的气温,结合目前的天气预报推测,今年的桂花整体花期有所延后,特别是早花品种的早银桂,由于季节已至但未达到开花的气候条件,积累的养分逐渐流失,等到之后降温开花时,大部分早银桂将达不到预期的开花效果,可能不会出现大面积开花。”上海植物园园艺科专类园主管姚恩扬表示。这也意味着,今年申城或将难以出现市民期待的“满城尽是桂花香”盛景。
气温偏高 始终按兵不动
桂花又名木犀,拥有独特的甜香味,在中国的栽培历史有2500年之久。上海栽种的桂花主要有金桂、银桂、丹桂以及四季桂四个品种群,每个品种群里又有若干个品种,花色和香味各有不同。如果气温适宜,有些年份可看到桂花四大品种“齐发”,街头绿地充斥着幸福的“甜香味”。
10月10日,园内绝大部分桂花都“按兵不动”
还要等
据植物园专家介绍,桂花开放需要经过11个时期,包括萌动期、萌发期、圆珠期、顶壳期等。其开花的最低温度要满足气温在20℃以下的条件,让桂花先感受到“秋凉”再升温,才能让花芽变为花蕾绽放。而今年夏天“超长待机”,导致促使桂花开放的“启动低温”总是无法降到,因此桂花才始终“按兵不动”。
从园内物候记录可看出,近几年中,只有2023年的早银桂在9月6日前后开放,其余几年的初花期都在9月下旬,且有越来越晚的趋势。而因气候异常,桂花还会“乱开花”。比如,2020年7月漫长的梅雨季后,气温降低和空气湿度增大让桂花误以为秋天到来,于7月20日左右就罕见地反季开放了,成为上海植物园有物候记录以来最早开放的一次。
不仅桂花,其他植物最近也因反常的气候而“乱开”了。国庆前,有人在小区和街头看到了盛放的白玉兰、紫玉兰,甚至辰山植物园内的广玉兰也开出了花朵。而一些公园的荷花也“超长待机”,直到现在还有花可赏,有网友戏称“植物也内分泌紊乱了”。
天创优配提示:文章来自网络,不代表本站观点。